Hc 64 Box 6015, West Plains, MO 65775
- 6 beds |
- 5 baths |
- 4,606 sqft
Single-Family Home
Built in 2010
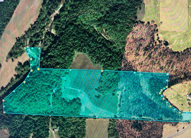
65acre lot
6 car garage
$250/sqft
Listed 7 months ago
Property Description
Set on 65+/- acres of rolling pasture and mature timber, this 4,600 sq. ft. custom-built home offers extensive North Fork River frontage and a large natural spring, creating a rare blend of scenic beauty and functionality. With its open floor plan and thoughtful design, the home provides comfort and flexibility to fit a variety of lifestyles.The layout includes six bedrooms--two on each level--perfect for hosting family, guests, or multi-generational living. The master suite features a loft office overlooking the bedroom, while a front office could easily serve as a 7th bedroom. The chef's kitchen stands at the heart of the home with a 6-burner propane cooktop, double oven, abundant cabinetry, and all appliances included. A spacious laundry/mudroom with soaking sink adds everyday convenience.The finished lower level offers 10-foot ceilings and two oversized flex rooms with insulated overhead garage doors, ideal for hobbies, storage, or workshop use.Outdoors, you'll find stone garden beds, pasture for horses or livestock, and wooded acreage for hunting or recreation. This is an outstanding equestrian property, sitting right next to North Fork River Ranch Horse Camp and within riding distance of Mark Twain National Forest trails. Improvements include a 35'x20' drive-through shop with 10' doors, a 35'x9' lean-to, 50x50 hay barn (with RV parking capacity), and an additional barn 30x50x15 with 1/2 concrete flooring..Whether you envision a private retreat, equestrian estate, working farm, or riverfront getaway, this property combines luxury, land, and water in one exceptional package. Property may be purchased with less acreage to suit your needs.
- Listing Status:
- Active
- Data Last Updated:
- April 4, 2026 at 12:22PM
- Listing Office:
- Southern Missouri Homes and Farms LLC : (417) 894-8005
- Listing Agent:
- Calvin Chambers : (417) 894-8005
- MLS ID:
- 60302772

- General: Playscape
- Style: Traditional
- Other Structures: OutbuildingRV/Boat StorageOtherFront PorchDeckCovered
- Parking: RV Access/ParkingStorageRV CarportGravelGarage Faces SideGarage Door OpenerDrivewayCircular DrivewayRV Barn
- Roofing: ShingleFiberglass
- Windows: Window CoveringsDouble Pane WindowsBlinds
- General: StoneVinyl SidingTwoPoured Concrete
- Road/Access: Highway
- Originating MLS: somo
- County: Douglas
- Zoning: 17-0.3-08-000-000-002.002
- Fencing: PartialBarbed WirePipe/SteelCross Fenced
- Water: Private
- Sewer: Septic Tank
- Source: somo
This listing courtesy of Calvin Chambers , Southern Missouri Homes and Farms LLC
Monthly Payment
- Principal & Interest $
- Property Taxes $
- Home Insurance $
- VA Funding Fee $
Location
Schools Nearby
South Fork Elementary School
3209 US Highway 160, West Plains, MO, 65775
Grades PK-6
2.76 miles away
West Plains Middle School
730 E Olden St, West Plains, MO, 65775
Grades 5-8
7.65 miles away
South Central Career Center
407 W Thornburgh St, West Plains, MO, 65775
Grades 9-12
7.23 miles away

